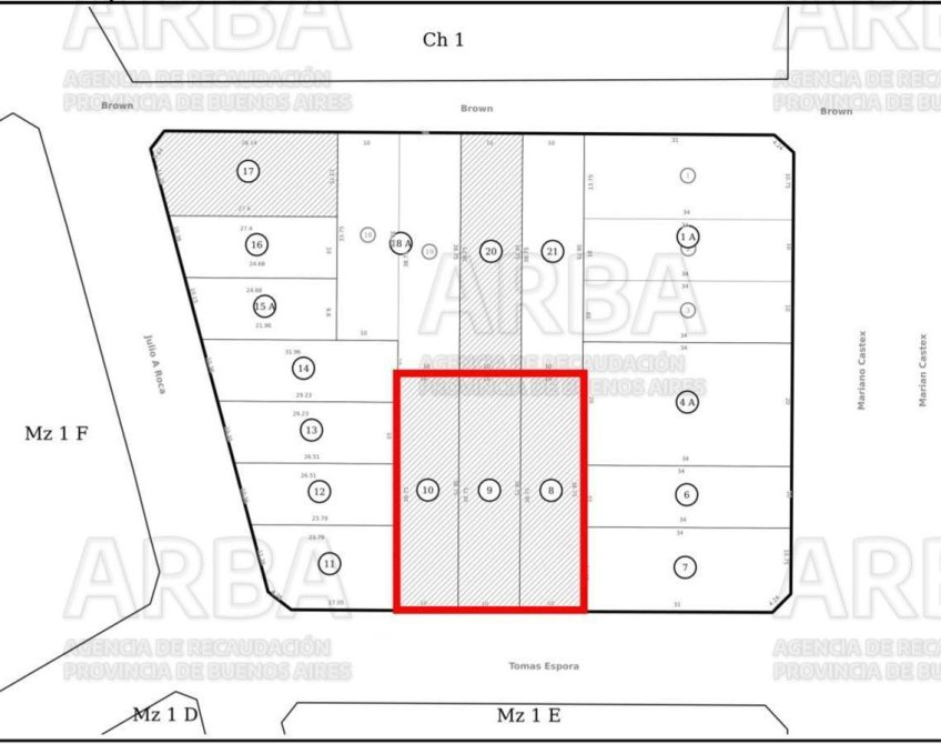
Venta de 3 lotes en canning

direccion Tomas Espora 302, Canning

volver Volver al listado
left
right
left
right
left
right

Venta

USD 280.000

  • Destacado Destacado
  • Oportunidad
  • Tipo de propiedad Lotes / Terrenos
  • Superficie cubierta Sup. cubierta 1162m2
  • Superficie total Sup. total 1162m2

Acerca de la propiedad

Venta de 3 lotes juntos en Canning , ideal para inversion 
3 lotes de 30 x 39,75 = 1.162,50 m2

a 30 metros de la Avda Mariano Castex ( Ruta 58 )
a 30 metros de la Estacion de servicio Puma
200 metros de la Rotonda de la Mujer

- Indicador Urbanistico

FOS   60 %
FOT 220 %

Densidad 600 hab/ha

Altura Maxima Planta Baja mas 8 niveles 


La información gráfica y escrita contenida en el presente aviso es meramente a título estimativo y no forma parte de ningún tipo de documentación contractual. Las medidas y superficies definitivas surgirán del título de propiedad del inmueble referido. Asi mismo, los importes de tasas, servicios y expensas indicados están sujetos a verificación. El valor del inmueble indicado en el presente puede ser modificado sin previo aviso. Operación supeditada a que el propietario cumplimente con la Reg.2371 COTI.

Comodidades

Ver más

Ubicación

Servicio brindado por

buscadorprop

Todos los derechos registrados:

grupotodo
whatsapp Whatsapp email Contactar telefono Llamar
Chatea con nosotros whatsapp